据烟台市住建局政府投资工程建设服务中心和市城管局消息,市区滨海中路与天成北街路口渠化提升改造工程下一阶段将开始。
该阶段改造计划工期为2024年4月8日-2024年4月18日,将对滨海中路从海韵路延伸至虞美人广场段,进行道路罩面改造施工,全长约1km。


为缓解交通压力,本次施工将采取“夜间施工作业,白天正常双向通行”的方式进行。夜间施工期间,采取半幅封闭施工,另半幅道路开放车道对向通行。
施工期间,请通行该区域车辆遵循交通引导,减速慢行。(通讯员 李畅)
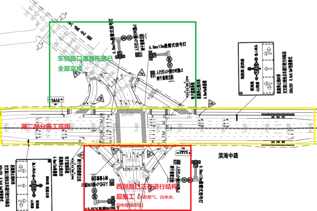
据烟台市住建局政府投资工程建设服务中心和市城管局消息,市区滨海中路与天成北街路口渠化提升改造工程下一阶段将开始。
该阶段改造计划工期为2024年4月8日-2024年4月18日,将对滨海中路从海韵路延伸至虞美人广场段,进行道路罩面改造施工,全长约1km。
为缓解交通压力,本次施工将采取“夜间施工作业,白天正常双向通行”的方式进行。夜间施工期间,采取半幅封闭施工,另半幅道路开放车道对向通行。
施工期间,请通行该区域车辆遵循交通引导,减速慢行。(通讯员 李畅)